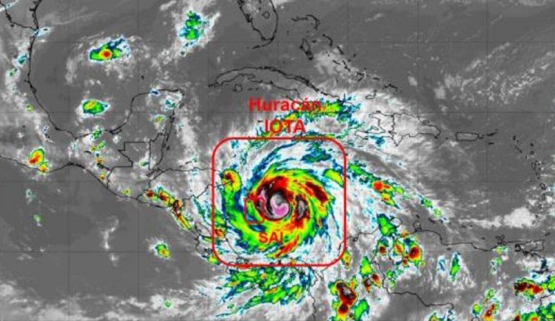
Huracán IOTA es categoría dos: Dimar
Se espera que en las próximas horas el sistema se configure como un huracán mayor categoría 3 en su paso por Providencia

(Dirección General Marítima (Dimar))

Cartagena de Indias
La Dirección General Marítima, como responsable del Servicio Meteorológico Nacional, adscrito al CIOH Caribe, informó el huracán IOTA alcanzó la categoría 2 de acuerdo a la escala Saffir-Simpson, el cual presenta vientos sostenidos de 85 nudos (157 km/h) y ráfagas de hasta 100 nudos (185 km/h).
Se espera que en las próximas horas el sistema se configure como un huracán mayor categoría 3 (vientos de 96 -112 nudos) en su paso por la Islas Providencia y Santa Catalina.
El sistema se ubica al este de las Islas Providencia y Santa Catalina, y se desplaza a una velocidad de 8 nudos (15 km/h) en dirección oeste.
Teniendo en cuenta la aproximación del sistema a las Islas de Providencia y Santa Catalina donde se presentan lluvias fuertes a muy fuertes, y vientos de hasta 40 nudos (74 km/h).
Se espera en las próximas horas condiciones océano – atmosféricas adversas, con vientos huracanados de mayor intensidad y una altura de la ola de hasta 6 metros, como consecuencia de la marejada ciclónica.
No obstante, se reiteró afectación en todas las áreas del Archipiélago de San Andrés incluyendo las Islas Cayos del Norte, pues se verán afectadas por lluvias intensas y persistentes.
Por tales motivos la Dimar recomendó extremar las medidas de seguridad en la navegación y el desarrollo de actividades marítimas sobre las áreas de incidencia del sistema ciclónico.




