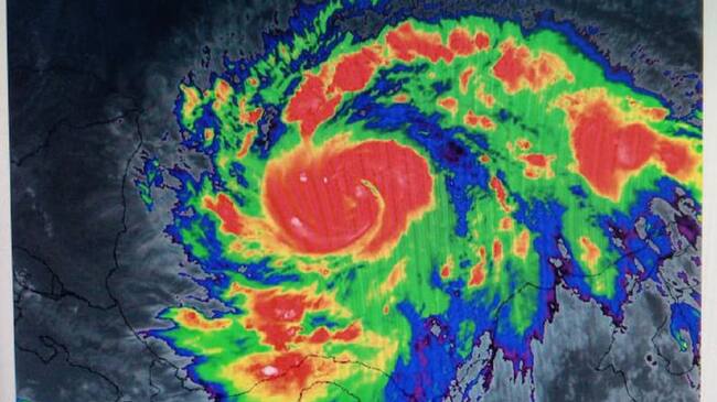
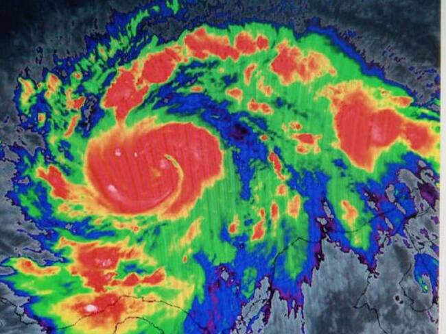
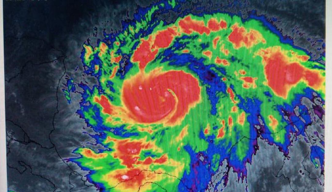
Huracán IOTA podría alcanzar categoría 3 en las próximas horas: Dimar
Se espera que el fenómeno alcance vientos sostenidos mayores a 96 nudos, es decir a 178 km/h

(Dirección General Marítima (Dimar))

Cartagena de Indias
Desde Cartagena la Dirección General Marítima (Dimar), a través del Centro de Investigaciones Oceanográficas e Hidrográficas del Caribe (CIOH), informó que el huracán IOTA (Categoría 1) está generando vientos sostenidos de 70 nudos, es decir 130 km/h, y ráfagas de hasta 85 nudos, equivalente a 158 km/h, además de una marejada ciclónica de más de cuatro metros que se desplaza a una velocidad de 5 nudos en dirección al oeste.
Se espera que el sistema se intensifique rápidamente en las siguientes horas hasta alcanzar categoría mayor, superior o igual a 3, según la escala de intensidad de huracanes de Saffir Simpson con vientos sostenidos mayores a 96 nudos, igual a 178 km/h.
Asimismo, se advierte que el sistema tiene trayectoria directa hacia la Isla Providencia, donde se espera el mayor impacto; no obstante, se informa que IOTA tendrá afectación sobre todas las islas del archipiélago de San Andrés, incluyendo las Islas Cayos del Norte, donde en las próximas 12 a 36 horas se esperan lluvias intensas y persistentes, acompañadas de actividad eléctrica.
En esta zona también se espera el aumento en la velocidad del viento que irá de 35 a 40 nudos, y variación en la dirección y altura del oleaje el cual oscilará entre 3,0 y 6,0 metros.
Debido a estas condiciones océano-atmosféricas, se recomienda extremar las medidas de seguridad en la navegación y el desarrollo de actividades marítimas sobre las áreas de incidencia del sistema ciclónico.




