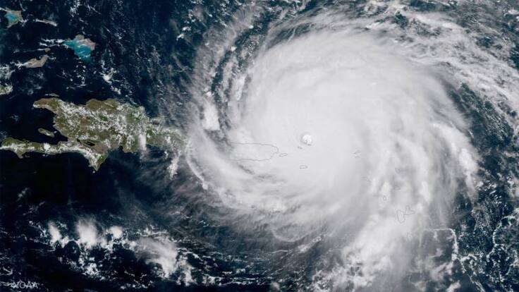
El huracán es tan fuerte que tomará tiempo para debilitarse: Centro Nacional de Huracanes
Krizia Negrón, del CNH de EE.UU, indicó que el huracán puede moverse por toda la península de la Florida, donde se espera un impacto muy fuerte.

En diálogo con 6Am Hoy por Hoy de Caracol Radio, la meteoróloga de del Sistema Nacional de Huracanes de Estados Unidos, Krizia Negrón, explicó que debido a la robustez del huracán Irma, este tardaría hasta el próximo lunes para debilitarse.
“El lunes ya debería estar debilitado, pero el sistema (huracán) es tan fuerte que va a tomar un tiempo mientras pasa por la península. La península es bastante llana, sin montañas, va tener fuente de agua y se a tardar en debilitarse por lo que va a pasar un día en tierra para ver disminuida su fortaleza”, agregó.
Indicó que en este momento Cuba está sintiendo los efectos del huracán. “Está pasando por la parte norte de la isla y están sintiendo efectos de tormenta. Ya el sábado en la mañana se sentirán los vientos de tormenta”, anotó la experta en fenómenos climatológico.




