Huracán IOTA sube a categoría 5: Dimar
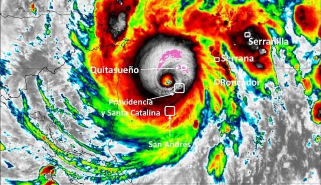
El ojo del huracán se ubica a 8 kilómetros de Providencia, 15 de Santa Catalina y 56 de San Andrés

(Dirección General Marítima (Dimar))

Cartagena de Indias
La Dirección General Marítima, como responsable del Servicio Meteorológico Nacional, adscrito al CIOH Caribe, informó que el huracán IOTA se ha fortalecido y ahora es de categoría 5 y continúa afectando con toda su fuerza el archipiélago colombiano, especialmente a las Islas Providencia, Santa Catalina y Banco Quitasueño.
El sistema tiene vientos sostenidos de 135 nudos (250 km/h), ráfagas de hasta 155 nudos (287 km/h) y con un desplazamiento lento, a una velocidad de 9 nudos (16km/h) hacia el oeste.
A esta hora el ojo del huracán (distancia en línea recta) se ubica a: 8 kilómetros de Providencia, 15 de Santa Catalina, 56 de San Andrés, 61 de Quitasueño, 82 de Albuquerque, 89 de Serrana, 90 de Roncador, 173 de Serranilla y 224 de Bajo Nuevo.
La DIMAR advirtió que IOTA continuará afectando las Islas Providencia, Santa Catalina e Isla Banco Quitasueño con vientos huracanados y una marejada ciclónica generada por este fenómeno de hasta 6 metros de altura.
Por su parte las Islas Serrana, Serranilla y Roncador, si bien se encuentran alejadas del ojo del huracán, están siendo afectadas fuertemente por las bandas del sistema.
Se reitera, afectación en todas las áreas de San Andrés incluyendo las Islas Cayos del Norte, dado el tamaño y categoría del sistema, por lo que continuarán las precipitaciones intensas y persistentes, así como los efectos de la marejada ciclónica, y en especial cuando el sistema se posicione al oeste del Archipiélago.
Por tales motivos, la Dimar recomendó extremar las medidas de seguridad en la navegación y el desarrollo de actividades marítimas sobre las áreas de incidencia del sistema ciclónico.




