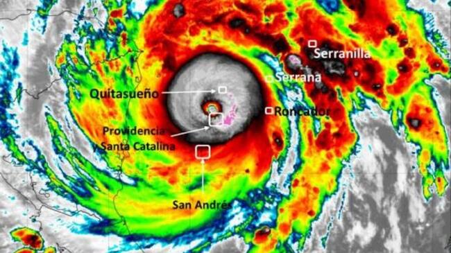
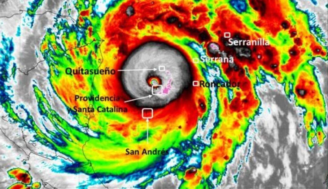
Dimar informa que el huracán IOTA aumentó a categoría 4
Actualmente el sistema se encuentra a 68 km al este de las Islas Providencia y Santa Catalina y a 132 km al noreste de la Isla de San Andrés

(Dirección General Marítima (Dimar))

Cartagena de Indias
La Dirección General Marítima, como responsable del Servicio Meteorológico Nacional, adscrito al CIOH Caribe, informó que el huracán IOTA aumentó a categoría 4 de acuerdo a la escala Saffir-Simpson, presentando vientos sostenidos de 121 nudos (225 km/h).
Se espera que en las próximas horas el sistema continúe fortaleciéndose.
Actualmente el sistema se encuentra a 68 km al este de las Islas Providencia y Santa Catalina y a 132 km al noreste de la Isla de San Andrés, y se desplaza a una velocidad de 9 nudos (17 km/h) en dirección oeste.
Teniendo en cuenta la aproximación del huracán a las Islas de Providencia y Santa Catalina, se presentan lluvias fuertes a muy fuertes con actividad eléctrica, vientos de hasta 65 nudos (120 km/h).
Se espera en las próximas horas, condiciones océano – atmosféricas adversas, con vientos huracanados de mayor intensidad y una altura de la ola de hasta cuatro metros, como consecuencia de la marejada ciclónica. No obstante, la Dimar reiteró la afectación en todas las áreas del Archipiélago de San Andrés incluyendo las Islas Cayos del Norte.
Por tales motivos, la Dimar recomendó extremar las medidas de seguridad en la navegación y el desarrollo de actividades marítimas sobre las áreas de incidencia del sistema ciclónico.




