Quindianos radicados en Miami evacuan por temor al huracán Irma
Los habitantes de la zona de influencia del fenómeno natural tienen la obligación de salir de sus casas hacía otros estados.

Quindianos radicados en Miami evacuan por temor al huracán Irma
El código iframe se ha copiado en el portapapeles
Quindío
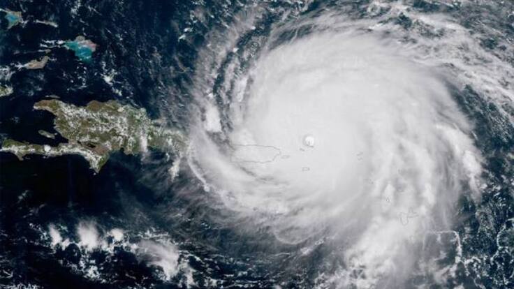
Precisamente, debido a los pronósticos sobre este fenómeno natural que no son los mejores, pues los daños ocasionados en Las Antillas han sido devastadores, los habitantes de Miami han salido para otros estados buscando refugio, es el caso de la Quindiana Clarena Molina quien tuvo que irse para New Jersey por tierra.
Ella cuenta que hay mucha preocupación por lo que pueda suceder y por eso se han tomado medidas como abastecerse de alimentos no perecederos, velas, baterías, medicamentos, esto ha hecho que los supermercados estén escasos de productos y en las estaciones de gasolina las filas son interminables.
Escuche la nota completa en el noticie de Caracol Radio.




