Huracán IOTA: Ideam alerta por su llegada a Providencia
De acuerdo con la entidad, el huracán Iota categoría 1 avanza en dirección oeste a una velocidad de 15 kilómetros por hora

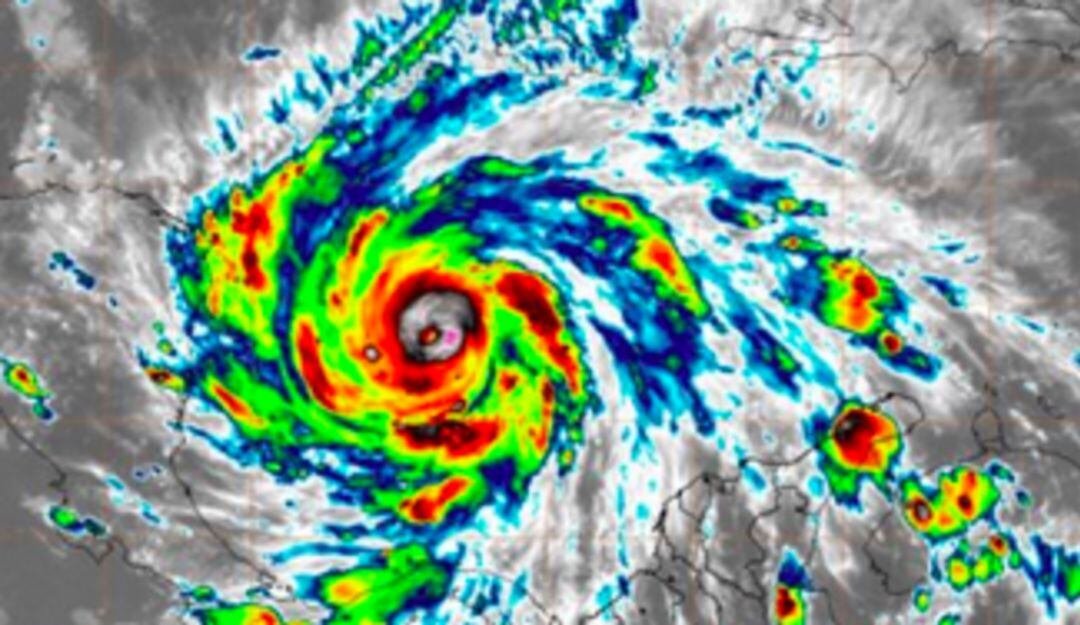
(Twitter: @IDEAMColombia)

De acuerdo con el IDEAM, entidad técnica del Sistema Nacional de Gestión del Riesgo, el huracán Iota categoría 1 avanza en dirección oeste a una velocidad de 15 kilómetros por hora, por el mar Caribe hacia Centroamérica, con una alta posibilidad de convertirse en un evento ciclónico de mayor categoría.
En su recorrido, la cercanía de su centro con el Archipiélago de San Andrés, Providencia, Santa Catalina y los cayos, ha hecho que las autoridades, en conjunto con las entidades del orden nacional, extremen las medidas preventivas, toda vez que continúa vigente el aviso de huracán en Providencia y de tormenta en San Andrés, por lo que se esperan lluvias fuertes, tormentas eléctricas, vientos huracanados, oleaje con alturas de tres a cuatro metros y no se descartan marejadas.
Frente a este panorama, las administraciones de la isla han implementado acciones preventivas que disminuyan el riesgo y aminoren el impacto de los efectos que pueden llegar a darse con el paso tan cercano de Iota sobre el Archipiélago.
Bajo ese entendido, desde la Aeronáutica Civil se ordenó el cierre del aeropuerto El Embrujo en la isla de Providencia ante los cambios de las condiciones meteorológicas que pueden afectar las operaciones aéreas y, por consiguiente, la seguridad de los viajeros. La medida se tiene prevista hasta este lunes 16 de noviembre a las 9:00 a.m., pero puede prolongarse de acuerdo con la evolución que se tenga del evento ciclónico.
Leer más: Huracán Iota podría alcanzar categoría 3 en las próximas horas: Dimar
Leer más: Toque de queda en San Andrés y Providencia por paso del huracán Iota
Las autoridades de la isla señalaron también que “se ha establecido un plan de contingencia para este domingo, teniendo como prioridad la comunidad de Santa Catalina. Se procederá a evacuar en primer lugar a los adultos mayores y trasladarlos al Refugio Centro Juvenil Padre Martín Taylor”.
En San Andrés, la isla más grande del Archipiélago, las medidas también se implementaron por parte de la Gobernación. Se lideraron, junto a la comunidad, jornadas de limpieza y adecuación de los puntos vulnerables para mitigar los riesgos que podría generar el paso de lluvias previstas.
"Se implementó la medida de toque de queda en todo el Archipiélago desde el domingo 15 de noviembre de 3:00 p.m., a 5:00 a.m., del lunes 16; y de 3:00 p.m., del lunes, hasta las 5:00 a.m., del martes 17 de noviembre. Desde ayer sábado se restringió el uso de cayos, playas y las actividades náuticas para toda la población", dice el informe.




