Ante paso del Irma, embajada brinda apoyo a colombianos en República Dominicana
Expreso José Segebre, que en la isla residen unos 11.000 colombianos.

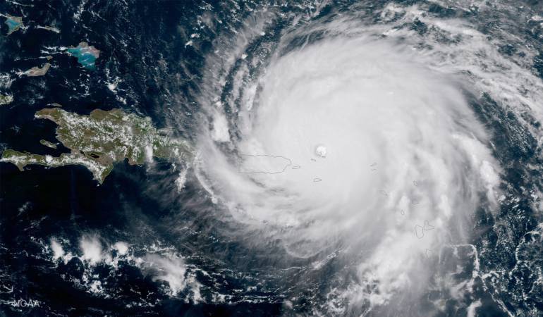
Huracán Irma (Getty Imagenes)

Barranquilla
Con vientos fuertes el huracán Irma se acerca a Republica Dominicana, este jueves.
El embajador de Colombia en la isla, José Antonio Segebre, dijo que el gobierno dominicano ha tomado todas las precauciones habilitando albergues en algunos hoteles para atender cualquier eventualidad.
“Unas 600 camas fueron habilitadas en los salones de fiestas de los sitios de alojamiento”, preciso.
Se ha conocido añadió el diplomático, que las autoridades han visitado las zonas aledañas a los ríos, quebradas para evacuar a los residentes en dichos sectores.
“La preocupación aquí es que las lluvias se puedan extender por varios días y causar inundaciones”, señalo Segebre.
Aseguro que como representante de la diplomacia colombiana, está muy atento de la situación que se le pueda presentar a los cerca de 11.000 connacionales que se encuentran en República Dominicana, con motivo del fenómeno natural.




