En China el tifón deja al menos 12 muertos y 12 desaparecidos
Las regiones sureñas de Guangxi, Cantón o Hunan sufren fuertes tormentas desde la noche del domingo.


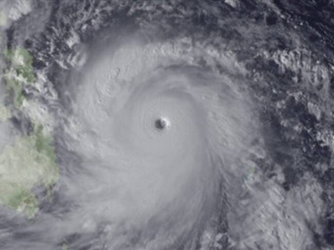
Al menos doce personas han muerto y otras doce continúan desaparecidas al paso por China de Haiyan, el tifón que ha dejado Filipinas devastada con más de 10.000 muertos y que azota desde el lunes el gigante asiático, aunque debilitado como tormenta tropical. Según confirma hoy la prensa estatal, las regiones sureñas de Guangxi, Cantón o Hunan sufren fuertes tormentas desde la noche del domingo. Aunque debilitado, Haiyan se desplaza a una velocidad aproximada de 15 kilómetros por hora, con ráfagas de hasta 100 kilómetros por hora. En la región autónoma de Guangxi, las autoridades han confirmado la muerte de una persona a causa del derrumbamiento de viviendas y la rotura de cristales, y cerca de un millón de afectados. Además, 25.000 personas han tenido que ser desplazadas y 249 casas se han derrumbado. En esta región, dos personas han muerto y cuatro personas permanecen desaparecidas después de que cayeran a un río el lunes por la noche arrastradas por los fuertes vientos de Haiyan. Además, más de 1.000 estudiantes y profesores de una escuela secundaria permanecen atrapados desde esta mañana en el colegio a causa de las inundaciones, confirmó hoy la agencia Xinhua. Los atrapados de momento se encuentran en las plantas superiores de la escuela esperando a los equipos de rescate. En Hunan, tres personas han muerto y tres permanecen desaparecidas después de que su barco volcara en una reserva natural esta mañana. En la embarcación se encontraban diez personas, y los equipos desplazados sólo han podido rescatar a cuatro. En la isla de Hainan, donde el tifón pasó este fin de semana, la tormenta ha dejado cuarto muertos a causa del derrumbamiento de viviendas -unas 650- y cerca de medio millón de afectados, entre ellos 39.000 evacuados. Hasta 1.200 poblados permanecen inundados en la zona sur de Hainan, que ha dejado a 180.000 damnificados. Es esta región unos 3.500 ciudadanos han quedado completamente aislados, después de que la acumulación de agua haya cortado vías aislando una veintena de 20 pueblos. El Gobierno local calcula las pérdidas económicas sólo en esta zona en unos 140 millones de yuanes (17 millones de euros, 22 millones de dólares). Las autoridades también han confirmado hoy la muerte de dos de los siete tripulantes de un barco que quedó a la deriva en el Mar de China Meridional el sábado -cuando los fuertes vientos rompieron sus amarras y lo arrastraran fuera del puerto de Sanya, en Hainan-. El resto de la tripulación, cinco personas, sigue desaparecida. Haiyan, el tifón más violento registrado en el mundo este año, ha dejado un panorama desolador en Filipinas, donde se estima que la cifra de muertos puede superar los 10.000 y los equipos de rescate trabajan a contrarreloj para ayudar a las víctimas afectadas en las regiones centrales del país y buscar supervivientes. Naciones Unidas afirmó hoy que "espera lo peor", mientras la ayuda humanitaria va llegando al archipiélago desde numerosos puntos del mundo.




