Huracán ‘Julia’: leves afectaciones en San Andrés tras su paso, confirmó Petro
Por el momento se reporta afectación de cinco viviendas destechadas, 25 personas de cinco familias afectadas, cuatro árboles caídos y 44 personas ubicadas en refugios

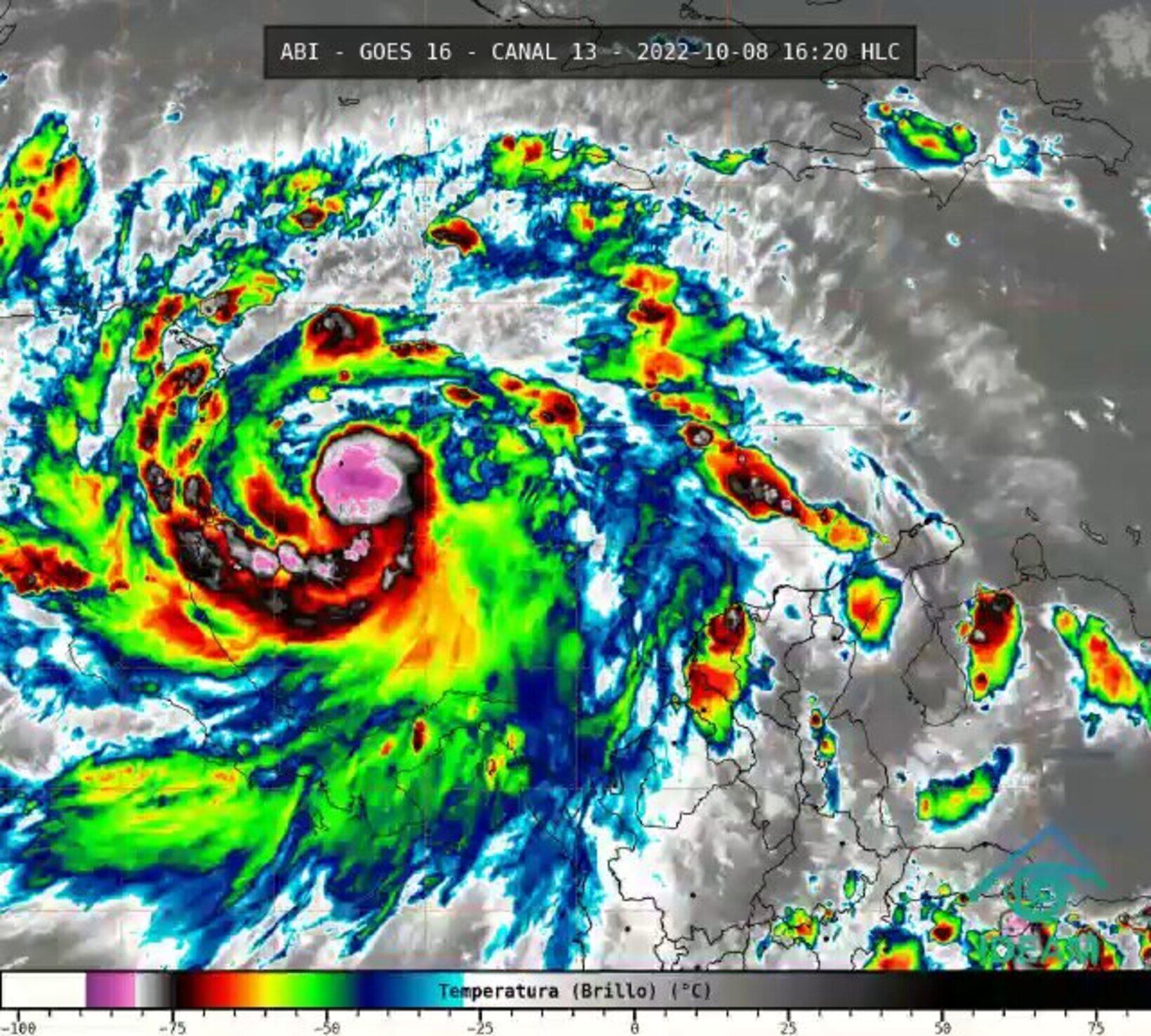
Huracán Julia / imagen satelital del GOES 16 en el momento en que el huracán Julia pasa sobre la isla de San Andrés

El Gobierno Nacional entregó un balance preliminar de las afectaciones que dejó el paso de la Tormenta Tropical Julia por San Andrés, donde dejó daños leves.
Así lo confirmó el presidente de la República, Gustavo Petro, a través de su cuenta en Twitter, quien enfatizó en que a penas se restablezcan las operaciones aéreas hacia la isla llegarán las ayudas.
Por el momento se reporta afectación de cinco viviendas destechadas, 25 personas de cinco familias afectadas, cuatro árboles caídos y 44 personas ubicadas en refugios. Por el momento, según las autoridades, no se reportan lesionados.
Aunque en este momento el fenómeno natural continúa alejándose del archipiélago de San Andrés y Providencia, se mantienen las alarmas, ya que podrían presentarse ráfagas de viento de 64 kilómetros por hora o más y posibles precipitaciones.
De acuerdo con datos de NOAA y los aviones de reconocimiento de la Reserva de la Fuerza Aérea indicaron este sábado que Julia se convirtió en un huracán a su paso cerca de las islas de San Andrés y Providencia.
Reacciones del IDEAM y el alcalde de Providencia
Sobre el particular, hablaron en el noticiero de la noche la directora del IDEAM, Yolanda González y el alcalde de Providencia, Jorge Norberto Gari. Comentaron que se presentaron precipitaciones entre 5:30 y 6:00 p.m. De igual manera, que ha sido una situación más de continua lluvia, baja la intensidad y luego se incrementa.
“Estuvimos observando el nivel del mar, que está más estable hacia la isla de Santa Catalina”; comentó.
Sin embargo, la zona colombiana que más se vería afectada es la isla de San Andrés, Providencia y Santa Catalina, de hecho, hay un puesto de mando unificado de las autoridades monitoreando el avance de la tormenta, que tiene alta probabilidad de convertirse en huracán una vez llegue el fin de semana.
Honduras y Nicaragua inician evacuaciones ante impacto de tormenta Julia
En medio de la alerta por el avance de la tormenta tropical Julia por el mar Caribe, los gobiernos de Nicaragua y Honduras emitieron alertas en preparación a la posible evolución de la tormenta tropical a un huracán que llegaría a sus costas durante el sábado 8 y domingo 9 de octubre.
La vicepresidenta de Nicaragua, Rosario Murillo, anunció la evacuación de islas y cayos del Caribe en las próximas horas con ayuda del Ejército Nacional. A pesar del aviso, no se especificó cuántas personas serían evacuadas de las islas donde habitan más de 7.800 personas.
Suspenden vuelo temporalmente a San Andrés y Providencia
La Aeronáutica Civil suspendió temporalmente las operaciones aéreas civiles en el aeropuerto Gustavo Rojas Pinilla de San Andrés y aeropuerto El Embrujo de Providencia.
La Aerocivil informó que la medida se implementó inicialmente, desde este sábado 8 de octubre de 2022 a las 06:00 horas, hasta el domingo 9 de octubre a las 12:00 horas.
Posibilidad de convertirse en huracán
Según el IDEAM: “El pronóstico indica que, para los siguientes días, a medida que se vaya desplazando el sistema hacia el oeste podría alcanzar algún grado de desarrollo, especialmente hacia el fin de esta semana, cuando podría convertirse en una depresión tropical”.
Por su parte, la ministra de Ambiente, Susana Muhamad, comentó que la onda tropical “ha pasado a una categoría de advertencia en el Archipiélago de San Andrés y Providencia por un fenómeno climático que puede llegar convertirse en huracán el fin de semana. Por lo tanto, se realizó un simulacro de huracán en la isla y ya se reunió el Comité de Emergencias para empezar a hacer la preparación”.
Reporte de la Unidad Nacional para la Gestión del Riesgo de Desastres
Sobre el caso habló en 6AM Hoy por Hoy de Caracol Radio Javier Pava, director de la Unidad Nacional para la Gestión del Riesgo de Desastres y reiteró que están atentos a la nubosidad y los vientos en el Caribe. Se trata de una depresión tropical que está atravesando La Guajira, Magdalena, Atlántico y podría llegar a San Andrés y Providencia el fin de semana para convertirse en huracán categoría 1.
Así las cosas, desde la entidad emitieron una advertencia a todos los consejos departamentales y municipiales, además de unas advertencias a la comunidad, para el uso de las zonas públicas, de transporte marítimo y aéreo.
¿Cuál sería el momento crítico para San Andrés?
De acuerdo con la Unidad Nacional para la Gestión del Riesgo de Desastres, el momento crítico sería el sábado en la noche, donde se espera que esté cerca a las costas. Sería un huracán categoría 1, a diferencia del 2020 que fue uno de categoría 4 y desde el IDEAM están enviando alertas sobre algún cambio.
“Ya estuvo en las costas de Venezuela y pasó por La Guajira y mañana sábado en la noche estará entrando a San Andrés y Providencia. En este último punto se tienen dispuestos cuatro refugios y se ha capacitado a la ciudadanía para saber qué hacer y protegerse”, comentó Pava.

Tormenta tropical llegará el sábado en la noche a San Andrés y Providencia
El código iframe se ha copiado en el portapapeles
Informes sobre tormenta tropical Julia
Julia, como se le denominó a este fenómeno climático, en caso de convertirse en huracán, puede alcanzar un diámetro de 1000 km y una altura de 10 km. Por su parte, con el paso de las horas y la eventual conversión a huracán, se determinará la categoría, siendo la 1 la que tenga vientos muy peligrosos y que causan algunos daños, hasta la 5, que ocasiona daños catastróficos.




