Destrucción y muerte deja el paso de tifón por Filipinas (FOTOS)

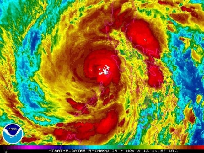
Imagen de satélite facilitada por la Administración Nacional de Océanos y Atmósfera de Estados Unidos que muestra el tifón "Haiyan" en Filipinas. / Agencia EFE

Imagen de satélite facilitada por la Administración Nacional de Océanos y Atmósfera de Estados Unidos que muestra el tifón "Haiyan" en Filipinas. / Agencia EFE

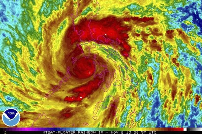
Fotografía de satélite facilitada por la Agencia Meteorológica de Japón que muestra al tifón Haiyan en Filipinas / Agencia EFE

Un hombre circula con su moto por las calles inundadas de Taguig al paso del tifón "Haiyan". / Agencia EFE

Un hombre circula con su moto por las calles inundadas de Taguig al paso del tifón "Haiyan" / Agencia EFE

Unos residentes filipinos atraviesan un río este en una aldea costera de Las Pinas, sur de Manila. / Agencia EFE

Un vehículo anfibio de rescate transita este por una calle de una aldea costera en Las Pinas, sur de Manila. / Agencia EFE

Unos residentes filipinos atraviesan un río este en una aldea costera de Las Pinas, sur de Manila. / Agencia EFE

Un vehículo anfibio de rescate transita este por una calle de una aldea costera en Las Pinas, sur de Manila. / Agencia EFE

Un vehículo anfibio de rescate transita este por una calle de una aldea costera en Las Pinas, sur de Manila. / Agencia EFE

Imagen de lo que se vive en Filipinas, en medio del tifón / Agencia EFE

Imagen de lo que se vive en Filipinas, en medio del tifón / Agencia EFE

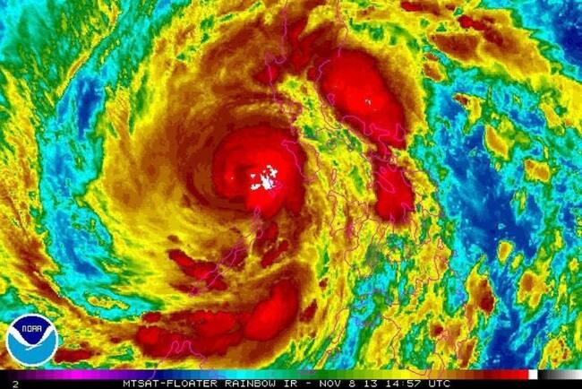
Imagen de satélite facilitada por la Administración Nacional de Océanos y Atmósfera de Estados Unidos que muestra el tifón "Haiyan" en Filipinas. / Agencia EFE

Imagen de lo que se vive en Filipinas, en medio del tifón / Agencia EFE

Imagen de lo que se vive en Filipinas, en medio del tifón / Agencia EFE

Imagen de lo que se vive en Filipinas, en medio del tifón / Agencia EFE

Imagen de lo que se vive en Filipinas, en medio del tifón / Agencia EFE

Un avión de la aerolinea Cebu Pacific despega del aeropuerto internacional de Manila (Filipinas). / Agencia EFE

Un avión de la aerolinea Philipine Airlines aterriza en el aeropuerto internacional de Manila. / Agencia EFE

Imagen de lo que se vive en Filipinas, en medio del tifón / Agencia EFE

Imagen de satélite facilitada por la Administración Nacional de Océanos y Atmósfera de Estados Unidos que muestra el tifón "Haiyan" en Filipinas. / Agencia EFE



