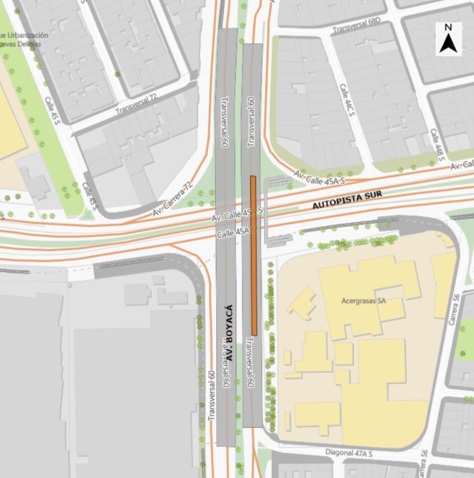
La Secretaría de Movilidad autorizó cierre de un carril en la Av. Boyacá con autopista sur
Las actividades de inspección y rehabilitación iniciarán a partir de este sábado 12 de octubre


La Secretaría de Movilidad adelantará actividades de inspección y rehabilitación para el puente vehicular de la Avenida Boyacá con Autopista Sur,
El siguiente Plan Manejo de Tránsito, donde los conductores que circulen por la Avenida Boyacá deberán transitar por 3 carriles que quedarán habilitados en la calzada, deberán seguir señales de tránsito o tomar rutas alternas, para ciclistas y peatones no habrá mayor inconveniente y podrán circular sin ningún problema sobre los andenes.
La señalización de la obra será importante, así como instrucciones y recomendaciones de los agentes de tránsito y todo personal encargado. Las obras se extenderán por un tiempo aproximado de un mes y medio.




