
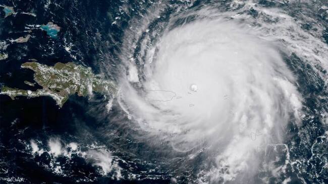
Ante paso del Irma, embajada brinda apoyo a colombianos en República Dominicana
Expreso José Segebre, que en la isla residen unos 11.000 colombianos.

Expreso José Segebre, que en la isla residen unos 11.000 colombianos.
Compartir
Más acciones
Suscríbete
Tu contenido empezará después de la publicidad