Destrucción y muerte deja el paso de tifón por Filipinas (FOTOS)


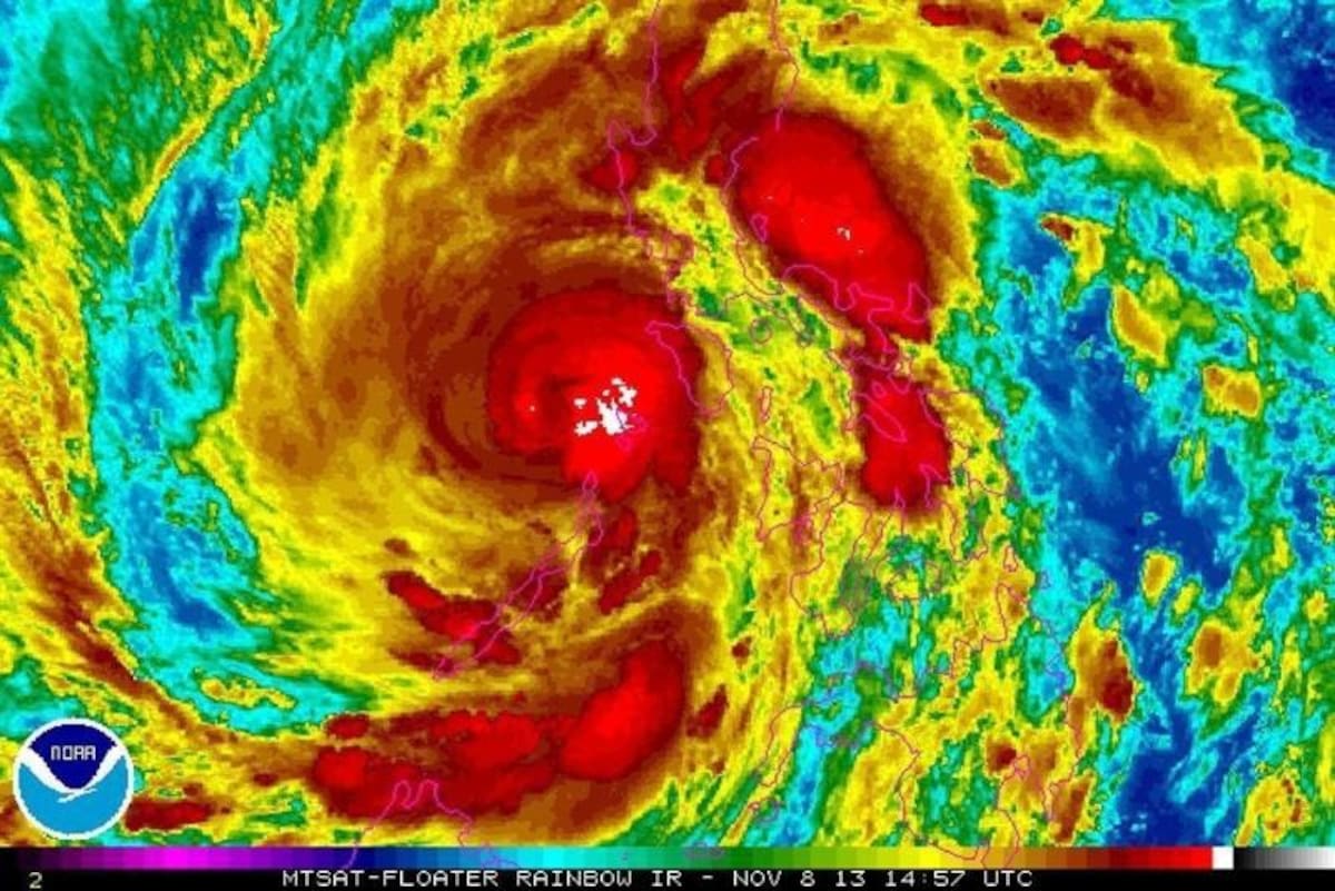
Imagen de satélite facilitada por la Administración Nacional de Océanos y Atmósfera de Estados Unidos que muestra el tifón "Haiyan" en Filipinas.
Foto 1 de 20
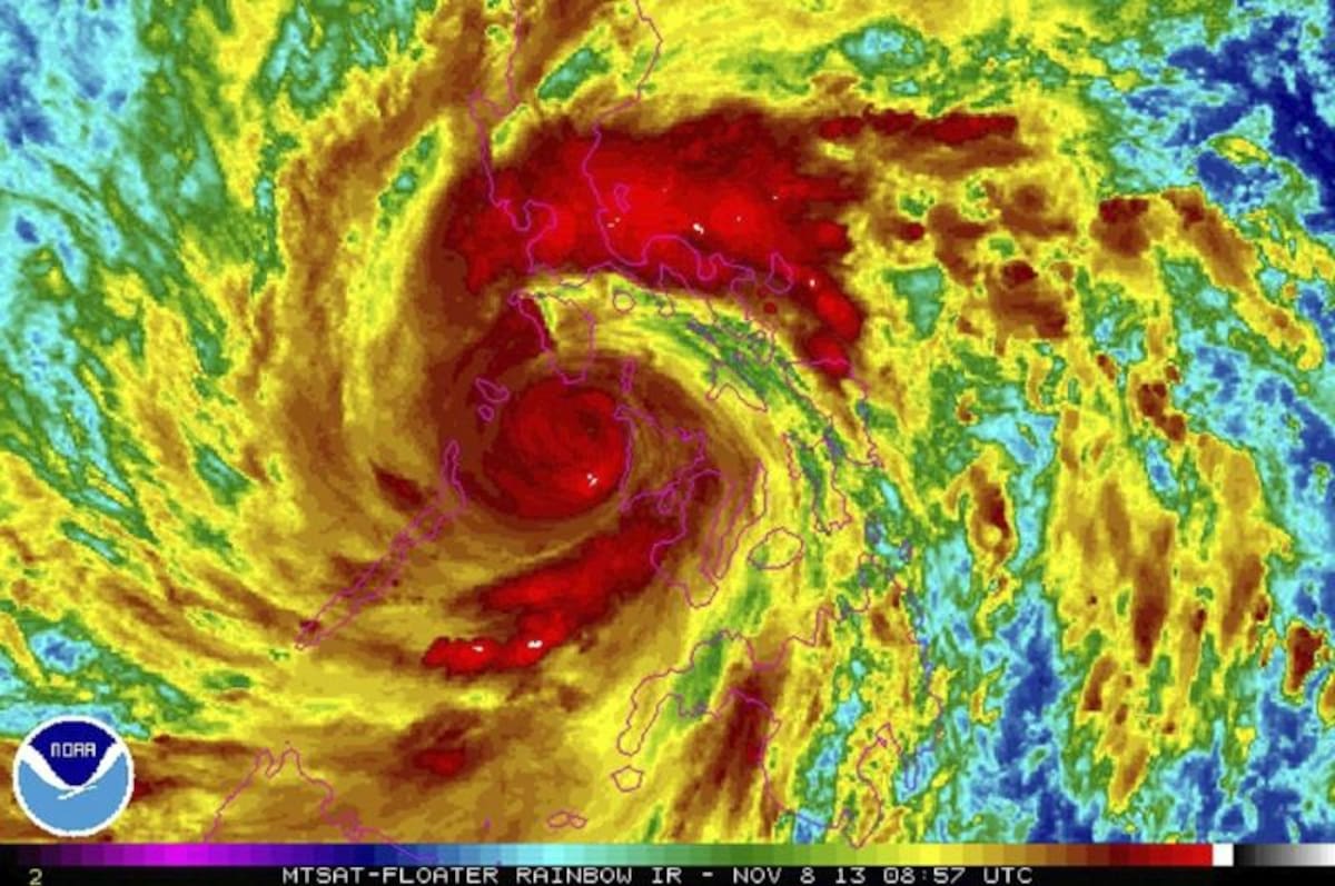
Fotografía de satélite facilitada por la Agencia Meteorológica de Japón que muestra al tifón Haiyan en Filipinas
Foto 2 de 20
Un hombre circula con su moto por las calles inundadas de Taguig al paso del tifón "Haiyan".
Foto 3 de 20
Un hombre circula con su moto por las calles inundadas de Taguig al paso del tifón "Haiyan"
Foto 4 de 20
Unos residentes filipinos atraviesan un río este en una aldea costera de Las Pinas, sur de Manila.
Foto 5 de 20
Un vehículo anfibio de rescate transita este por una calle de una aldea costera en Las Pinas, sur de Manila.
Foto 6 de 20
Unos residentes filipinos atraviesan un río este en una aldea costera de Las Pinas, sur de Manila.
Foto 7 de 20
Un vehículo anfibio de rescate transita este por una calle de una aldea costera en Las Pinas, sur de Manila.
Foto 8 de 20
Un vehículo anfibio de rescate transita este por una calle de una aldea costera en Las Pinas, sur de Manila.
Foto 9 de 20
Imagen de lo que se vive en Filipinas, en medio del tifón
Foto 10 de 20
Imagen de lo que se vive en Filipinas, en medio del tifón
Foto 11 de 20
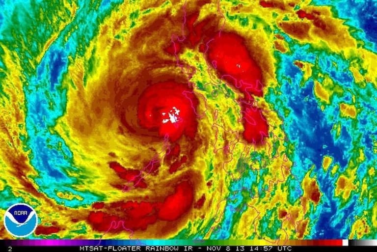
Imagen de satélite facilitada por la Administración Nacional de Océanos y Atmósfera de Estados Unidos que muestra el tifón "Haiyan" en Filipinas.
Foto 12 de 20
Imagen de lo que se vive en Filipinas, en medio del tifón
Foto 13 de 20
Imagen de lo que se vive en Filipinas, en medio del tifón
Foto 14 de 20
Imagen de lo que se vive en Filipinas, en medio del tifón
Foto 15 de 20
Imagen de lo que se vive en Filipinas, en medio del tifón
Foto 16 de 20
Un avión de la aerolinea Cebu Pacific despega del aeropuerto internacional de Manila (Filipinas).
Foto 17 de 20
Un avión de la aerolinea Philipine Airlines aterriza en el aeropuerto internacional de Manila.
Foto 18 de 20
Imagen de lo que se vive en Filipinas, en medio del tifón
Foto 19 de 20
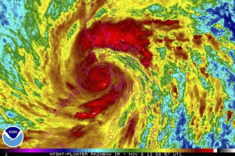
Imagen de satélite facilitada por la Administración Nacional de Océanos y Atmósfera de Estados Unidos que muestra el tifón "Haiyan" en Filipinas.
Foto 20 de 20
























