¿Cómo y dónde se forma un huracán?
Responde en Caracol Radio Juan Carlos Ortiz, investigador colombiano de Física y Geociencias de la Universidad del Norte y doctor en Oceanografía Física.

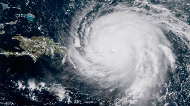
La temporada de huracanes de este año 2017 ha sido particular. En menos de un mes se han formado dos huracanes que llegaron a categoría 5, Irma y María, algo que es inusual según afirmó este martes el investigador colombiano Juan Carlos Ortiz.
En entrevista con 6AM Hoy por Hoy, de Caracol Radio, el experto colombiano habló sobre las razones para la formación de estos fenómenos, su diferencia con los tornados, las condiciones atmosféricas que se necesitan para que suba o baje de intensidad y la influencia de la rotación de la tierra sobre la ruta que siguen, entre otros detalles.
Según el científico, el año 2005 fue el de mayor número de huracanes con una formación de 25 tormentas tropicales y lo especial es el aumento de la temperatura del planeta.
Por ello, estimó que cada huracán es un fenómeno y un proceso muy particular que se fortalecen cuando encuentran aguas cálidas a su paso de rotación.
Comentó que como la tierra mantiene una rotación, los huracanes tienen a seguir esa rotación y de ahí que hay zonas del continente que resultan más impactadas por la intensidad de estos fenómenos.
No descartó la posibilidad que el cambio climático este generando una mayor presencia de ciclones de mayor intensidad y destrucción en su paso por las islas que tocan.
La explicación sobre los detalles de los huracanes o tifones y de los tornados los puede escuchar en el archivo de audio anexo.




